注册
闽南网 > 厦门 > 厦门新闻 > 正文

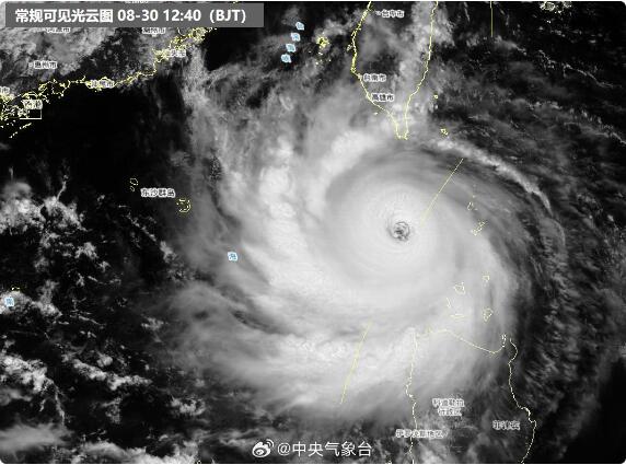
“苏拉”在福建沿海吹起狂风

来源:厦门日报 2023-08-30 17:11 http://www.mnw.cn/

  超强台风“苏拉”强横依旧,其中心今天14时位于广东惠来东偏南方向大约520公里的海面上,保持17级以上风力(62米/秒)!未来将以每小时10公里左右的速度向西偏北方向移动,强度变化不大。

  目前,“苏拉”正中穿过巴士海峡,丝毫无损。受台湾海峡“狭管效应”影响,福建沿海风力逐渐增大。(记者 朱道衡)

原标题:“苏拉”在福建沿海吹起狂风
责任编辑:方迪
相关阅读:
新闻 娱乐 福建 泉州 漳州 厦门
猜你喜欢:
热门评论:
频道推荐
  • 马銮湾智慧科技产业园:筑巢引凤栖 湾畔绘
  • 厦门餐饮品牌开疆拓土42家餐厅上榜福建省米
  • 会打拳的机器人带你触摸未来 走进国家“芯
  • 新闻推荐
    @所有人 多项民生礼包加速落地快来查收 三峡大坝变形?专家:又有人在恶意炒作 北京新一波疫情为什么没出现死亡病例? 戴口罩、一米线 疫情改变了哪些习惯? 呼伦贝尔现幻日奇观 彩虹光带环绕太阳
    视觉焦点
    石狮:秋风起,紫菜香 石狮:秋风起,紫菜香
    石狮环湾生态公园内粉黛乱子草盛放 石狮环湾生态公园内粉黛乱子草盛放
    精彩视频
    2025年海上丝绸之路国际文化旅游节盛大开幕,“世遗辉映·世界共享”,海丝泉州非遗时尚秀精彩上演(视频)
    2025年海上丝绸之路国际文化旅游节盛大开幕,“世遗辉映·世界共享”,海丝泉州非遗时尚秀精彩上演(视频)
    泉州丰泽街保险大厦路段,非机动车道长期成停车场,市民呼吁整治(视频)
    泉州丰泽街保险大厦路段,非机动车道长期成停车场,市民呼吁整治(视频)
    专题推荐
    关注泉城养老服务 打造幸福老年生活
    关注泉城养老服务 打造幸福老年生活

    闽南网推出专题报道,以图、文、视频等形式,展现泉州在补齐养老事业短板,提升养老服

    新征程,再出发——聚焦2021年全国两会
    2020福建高考招录
     
    48小时点击排行榜
    人民币对美元中间价报7.0638 上调48个基 惠安县党政考察团赴宁夏红寺堡区考察交流 广东省人民政府任免工作人员 超1.4万亿斤!2025年全国粮食实现丰收 福建省闽南文化非遗周在泉州启动 一连四天 海丝沿线多国非遗“宝藏”在泉 一连四天 海丝沿线多国非遗“宝藏”在泉 哪种材质的帽子保暖又透气?蚂蚁庄园课堂